Heute haben wir es anfangs ruhig angehen lassen.
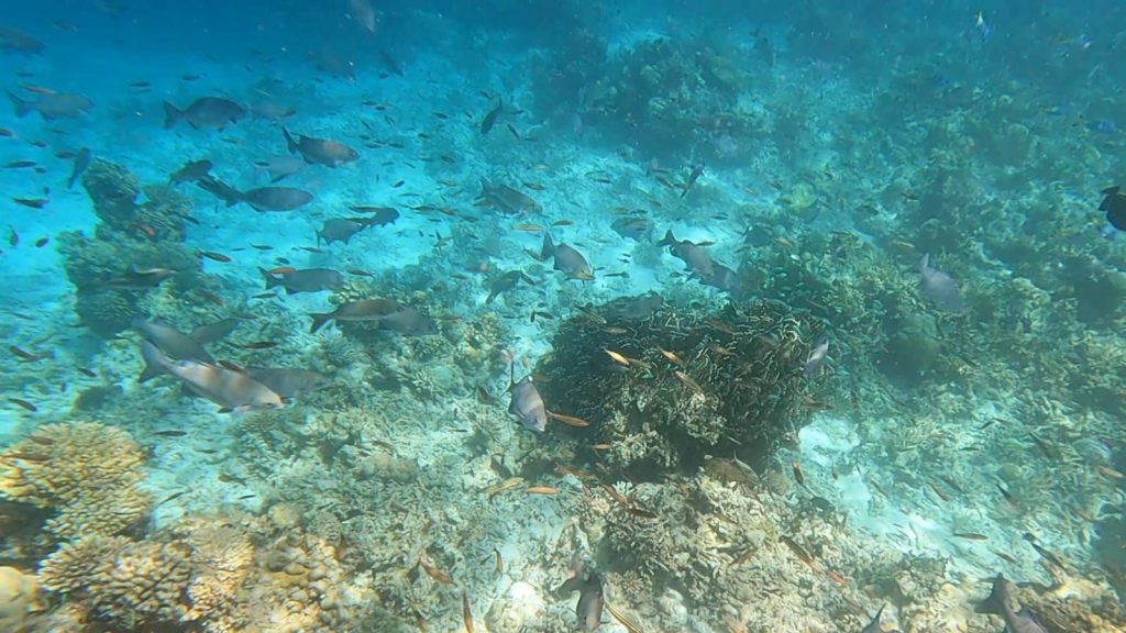
Nach einem entspannten Frühstück gings heute zum Schnorcheln auf die Südseite der Insel. Wieder eine ganz andere Optik mit vielen neuen, bunten Korallen und allen möglichen Fischen. Wir waren fast 2 h im Wasser 😅











Beim Mittagessen haben wir und dann mit Naail (unserem „persönlichen“ Kellner) über unsere Rochensichtung unterhalten und er hat uns mit Servietten- Tieren dann die einzelnen Arten erklärt.

Nachmittags haben wir dann nur am Strand entspannt bzw hat Markus noch mal ne halbe Stunde schnorcheln auf unserer Seite eingelegt.


Das Highlight des Tages stand dann um 18 Uhr an. Dann hieß es, ab zum Nachtschnorcheln! Was für eine Erfahrung! Sollte jeder, der die Chance hat, unbedingt probieren.



Völlig überwältigt gings dann nur kurz zum Bungalow duschen und anschließend gleich zum Abendessen. Wohlweislich haben wir uns heute zum ersten Mal rein gesetzt, was sich ein paar Minuten später als goldrichtig erwiesen hat. Es gab einen richtigen Platzregen, der viele Stellen komplett geflutet hat.
